L'azienda


Siamo una realtà familiare nata a Clavesana nel 1995, mossa dall'ambizione di "fare un vino e farlo bene" per valorizzare l'identità autentica delle Langhe

Nella nostra visione, fare un vino e farlo bene, significa rispettare i tempi della natura senza forzature. Utilizziamo metodi di estrazione naturale, con macerazioni lunghe che arrivano fino a 30 giorni, evitando l'uso di enzimi o tecniche meccaniche invasive. Questo approccio artigianale conferisce ai nostri vini una longevità straordinaria: la prova della nostra dedizione è nelle bottiglie che, anche dopo più di 20 anni dalla vendemmia, continuano a esprimere una qualità incredibile. Per noi, la perfezione è la capacità di creare un vino con un'anima e una personalità definita

Tenuta di Costa Prà

L'azienda è condotta interamente a livello familiare e seguiamo personalmente ogni singola fase della produzione.
La tenuta abbraccia 34 ettari totali, ma solo i 5 ettari con la migliore esposizione sono vigneti, lasciando che il resto della proprietà rimanga un ecosistema armonioso di boschi e prati. In questo ambiente incontaminato, tra sentieri dove è possibile incontrare lepri, volpi e cinghiali, la natura dialoga costantemente con il nostro lavoro.
Crediamo che un grande vino debba avere "personalità" ed eleganza, diventando un ricordo che dura nel tempo. Invitiamo chiunque desideri scoprire questa armonia a visitarci: la nostra cantina è aperta tutto l'anno su appuntamento, pronta a raccontarvi la nostra storia attraverso un calice del nostro unico protagonista, il Dogliani Superiore.

Vi invitiamo a scoprire la nostra tenuta in ogni stagione dell'anno: contattateci telefonicamente per fissare un appuntamento e assicurarvi un'accoglienza dedicata.
Venire a trovarci è un momento speciale per rigenerarsi tra boschi e vigneti, godendo di una pace profonda e di un panorama mozzafiato che abbraccia l'intera catena alpina.
Sarete immersi in un ecosistema armonioso dove la natura e il silenzio rendono la degustazione del nostro Dogliani Superiore DOCG un'esperienza davvero indimenticabile. Contatti

Potete acquistare il nostro Dogliani Superiore DOCG direttamente presso la nostra tenuta a Clavesana.
Per assicurarvi la migliore accoglienza, vi suggeriamo di venire a trovarci preferibilmente su appuntamento.
Oppure è possibile ordinare comodamente online le nostre annate e le confezioni speciali sul sito vinodalproduttore.it
Costa Prà su VinoDalProduttore.it

Offriamo la possibilità di soggiornare presso la nostra tenuta in alloggio agrituristico indipendente, immerso nella quiete dei vigneti e con vista sulla catena alpina.
La struttura dispone di spazi per il relax, tra cui il giardino, la veranda e un accogliente salone.
Potete prenotare il vostro soggiorno rivolgendovi direttamente a noi oppure tramite la piattaforma Airbnb, dove Mauro vi garantirà l’accoglienza d’eccellenza di un Superhost.
Su AirBnb, apertura dal 15 aprile al 3 novembre.

I fatti e Le idee


Fare un vino e farlo bene significa per noi proteggere l'equilibrio della natura, affinché l'armonia dei nostri luoghi si trasformi in un calice di rara eleganza, capace di farsi memoria e sfidare il tempo.

Sotto i tigli

D'estate all'ombra degli alberi è piacevole rilassarsi

View

In vendemmia

Quando si raccoglie l'uva per i bambini e occasione di dolci scoperte

View

Il giardino

Un'oasi di pace affacciata sulla catena alpina.

View

L'Alchimia dell'Amicizia

Il vino come ponte tra persone e racconti.

View

Il Dogliani Superiore

L'unico protagonista della nostra produzione.

View

I vigneti

Solo i 5 ettari meglio esposti per l'eccellenza.

View

La Tenuta

Un ecosistema armonioso tra boschi e prati.

View

I filari

Ordine e passione nel cuore delle Langhe.

View

IL VINO


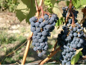
Il Dogliani Superiore DOCG è l'unico protagonista della nostra produzione, un vino che incarna il massimo della nostra espressione vinicola. Prodotto con uve raccolte a mano su terreni ricchi di argilla e calcare, segue un affinamento di almeno 24 mesi. Il risultato del lavoro è un vino ricco e molto strutturato, dal colore rosso profondo con riflessi violacei. Al naso sprigiona un bouquet complesso di ciliegia, frutti rossi, tabacco e cuoio, mentre al palato si rivela ampio e persistente, il compagno ideale per occasioni speciali e piatti importanti .

Dogliani Superiore DOCG 2021

È un vino di grande struttura ed eleganza, con una gradazione di 15% vol. Prodotto con macerazione di 25-30 giorni e affinato per 2 anni, esprime note profonde di ciliegia e cuoio.
L'annata è stata segnata da una gelata primaverile ad aprile, seguita da un'estate calda e asciutta. Queste condizioni hanno portato a una resa inferiore ma a un'altissima qualità delle uve, con un ottimo equilibrio tra acidità e polifenoli.

Dogliani Superiore DOCG 2022

Questa annata si presenta ricca e potente, mantenendo la tipica estrazione naturale ottenuta senza enzimi. Presenta valori analitici coerenti con la nostra consuetudine: alcol 15% vol ed estratto secco elevato.
Il 2022 è stato caratterizzato da una siccità storica e temperature sopra la media. Tuttavia, l'altitudine dei nostri vigneti (514 m s.l.m.) ha permesso al Dolcetto di preservare freschezza, regalando un vino solare, ampio e di notevole concentrazione.

I nostri contatti

Tenuta di Costa Prà - 12060 Clavesana (CN) Italy
Telefono: +39 0173 790467
E.mail: info@costapra.com